print

Gesetz zur Errichtung neuer Freihäfen und zur Änderung des Zollgesetzes – FrHfDEG/DUG

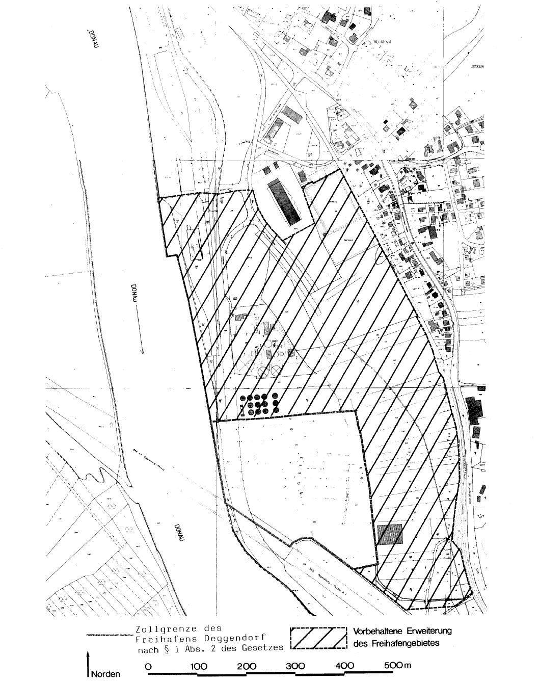
(1) In Deggendorf und in Duisburg wird jeweils ein Teil des Hafengebiets als Freihafen eingerichtet.

(2) 1In Deggendorf beginnt die Zollgrenze um den Freihafen auf dem linken Donauufer an der Autobahnbrücke bei Donau-km 2282,4, verläuft dann etwa 155 m entlang der Autobahn nach Südosten, biegt in einem etwa 50 m langen Viertelkreis mit dem Böschungsfuß der Autobahn nach Nordosten, verläuft von dort etwa 110 m parallel zur Autobahn, biegt dann in einem etwa 130 Grad großen Winkel nach Osten und wendet sich nach etwa 50 m in einem Winkel von etwa 95 Grad nach Norden, verläuft von dort in einer leicht geschwungenen Linie etwa 315 m parallel zum Donauufer, biegt dann in einem Winkel von etwa 96 Grad nach Westen bis zu einem Punkt, der heute etwa 8 m in der Donau liegt und geht von dort aus in gerader Linie wieder zum Ausgangspunkt zurück.
2Die umschlossene Freihafenfläche beträgt etwa 90.000
qm.
3Sie ist in der Anlage 1 durch eine rote Linie eingegrenzt.

(3) 1In Duisburg beginnt die Zollgrenze um den Freihafen in der nördlichen Ecke des Nordhafens und verläuft in südwestlicher Richtung 380,8 m auf der senkrechten Ufereinfassung, biegt dann 11 m nach Nordwesten, anschließend nach Südwesten auf 96,35 m entlang der Oberkante des teilgeböschten Ufers, darauf rechtwinklig nach Nordwesten ab und trifft nach 75,6 m auf die Straße "Am Nordhafen".
2Hier wendet sie sich rechtwinklig nach Nordosten und verläuft 746 m entlang dieser Landstraße, davon ist sie vor dem Zollgebäude auf einer Länge von 12,5 m um 2,5 m nach Südwesten versetzt, biegt dann nach Südosten auf 17,5 m entlang einer Mauer und Spundwand ab und folgt auf 310 m der Böschungsoberkante des dort verlaufenden Gleiskörpers in östlicher Richtung bis zum rechtwinklig dazu stehenden Gleistor.
3Die Grenze folgt dem Gleistor auf 25 m, um dann geschwungen in südwestlicher Richtung 235,5 m annähernd parallel zum dortigen Eisenbahngleis bis zum rechtwinklig dazu stehenden Gleistor zu verlaufen.
4Die Grenze folgt dem Gleistor auf 5 m nach Südosten und biegt dann wieder rechtwinklig ab, um auf der anderen Seite des Gleises auf 63,5 m südwestlich zwischen zwei Gleisen bis zu einer Gebäudewand zu verlaufen, der sie 60,69 m folgt.
5Danach verläuft sie weitere 60,55 m nach Südwesten, bis sie auf die östliche Ecke des Nordhafens trifft.
6Von dort verläuft sie auf der Oberkante des Ufers in nordwestlicher Richtung, bis sie auf den Ausgangspunkt stößt.
7Die umschlossene Freihafenfläche beträgt etwa 100.000
qm.
8Sie ist in der Anlage 3 durch eine rote Linie eingegrenzt.

(4) Der Bundesminister der Finanzen kann durch Rechtsverordnung bis zum 31. Dezember 1997 die in den Anlagen 1 bis 4 schraffierten Gebiete oder Teile davon in die Freihäfen einbeziehen.

-

1Dieses Gesetz gilt nach Maßgabe des § 12 Abs. 1 des Dritten Überleitungsgesetzes auch im Land Berlin.
2Rechtsverordnungen, die auf Grund dieses Gesetzes erlassen werden, gelten im Land Berlin nach § 14 des Dritten Überleitungsgesetzes.

Dieses Gesetz tritt am ersten Tage des seiner Verkündung folgenden Kalendermonats in Kraft.

1(Fundstelle:
2BGBl. I 1989, 1543)


1(Fundstelle:
2BGBl. I 1989, 1544)

1(Fundstelle:
2BGBl. I 1989, 1545)

1(Fundstelle:
2BGBl. I 1989, 1546)

Geändert durch Art. 1 V v. 10.4.1995 I 518
Seite zuletzt aktualisiert am 20. Dezember '25